Growth in Shelburne isn’t slowing down anytime soon.
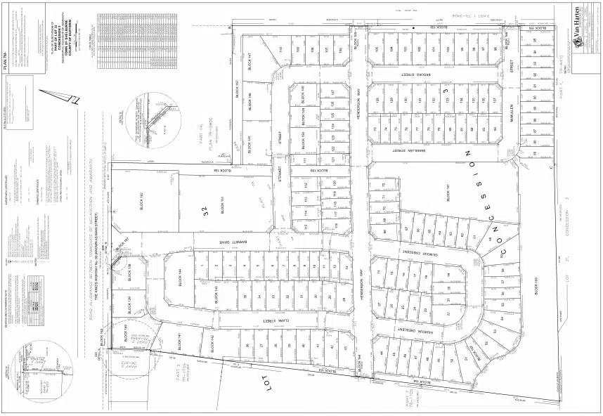
On Monday (July 22), council gave final approval to the Hyland Village subdivision that includes 93 single-detached homes, 88 semi-detached and 64 townhomes. That is 28 units less than the original plan. Those units will be transferred back to the Stage 2 reserve and will be available for other future development.
The development is located on the south side of Main Street West.
Access to the subdivision will be one road off of Main Street West. There will be another emergency access road.
Mayor Wade Mills says this development is good news for the community, despite the retail versus housing development conundrum that happens in small towns itching for growth.
Additionally, council approved a site plan for an Ice River Springs bottling facility on Prentice Drive. That development is expected to bring 30 more jobs to Shelburne and possibly more in the future.













